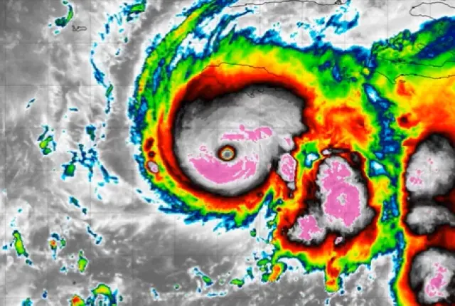
Con vientos de más de 280 kilómetros por hora, el huracán Melissa cruzó Jamaica este martes con una categoría 5, y posteriormente se debilitó hasta considerarse de categoría 3 antes de volver a reforzarse en su camino hacia Cuba, donde ya está provocando crecidas de ríos e inundaciones en el este de la isla.
Este tipo de fenómenos, como Melissa, responden a un mismo patrón meteorológico que explica su enorme poder destructivo. Los huracanes son fenómenos violentos y devastadores que se producen en aguas cálidas y a partir de corrientes de aire calientes y húmedas. Están clasificados en función de su potencia y Estados Unidos ha sido testigo de los más fuertes de la historia.
Cómo se mide la fuerza de los huracanes
Los huracanes son monitorizados y clasificados desde el primer momento en una categoría dentro de la escala Saffir-Simpson, el índice de referencia para estos fenómenos. Hay cinco categorías en función de la velocidad del viento, su intensidad y el potencial grado de destrucción.
- Categoría 1: vientos de hasta 153 kilómetros por hora y olas de 1,5 metros en las zonas costeras. Puede dañar mobiliario urbano, vegetación y generar induaciones, pero no suele generar daños en los edificios.
- Categoría 2: vientos de hasta 177 kilómetros por hora y olas de hasta 2,4 metros en zonas costeras. Provoca daños en tejados, puertas y ventanas de las viviendas, en el mobiliario urbano y puede provocar graves inundaciones.
- Categoría 3: vientos de hasta 209 kilómetros por hora y olas de hasta 3,7 metros en zonas costeras. Puede provocar daños estructurales en edificios, destruir pequeñas viviendas, generar inundaciones y afectar gravemente a las ciudades, así como arrastrar y volar objetos pesados
- Categoría 4: vientos de hasta 250 kilómetros por hora y olas de más de hasta 5,5 metros en zonas costeras. Devastador para estructuras de edificios y puede provocar desplomes de tejados. Graves inundaciones que pueden alcanzar el interior de los territorios costeros
- Categoría 5: vientos de hasta 400 kilómetros por hora y olas de más de 5,5 metros en zonas costeras. De efectos devastadores, puede derribar viviendas y destruir tejados de edificios, dañando gravemente sus estructuras. Pueden arrancar árboles e incluso mover vehículos. El ejemplo más famoso en los úlitmos tiempos es el del huracán Katrina de 2005.
Los huracanes se clasifican en función de su intensidad y su poder de devastación en cinco categorías.

Los huracanes se clasifican en función de su intensidad y su poder de devastación en cinco categorías.
Con vientos de más de 280 kilómetros por hora, el huracán Melissa cruzó Jamaica este martes con una categoría 5, y posteriormente se debilitó hasta considerarse de categoría 3 antes de volver a reforzarse en su camino hacia Cuba, donde ya está provocando crecidas de ríos e inundaciones en el este de la isla.
Este tipo de fenómenos, como Melissa, responden a un mismo patrón meteorológico que explica su enorme poder destructivo. Los huracanes son fenómenos violentos y devastadores que se producen en aguas cálidas y a partir de corrientes de aire calientes y húmedas. Están clasificados en función de su potencia y Estados Unidos ha sido testigo de los más fuertes de la historia.
Cómo se mide la fuerza de los huracanes

Los huracanes son monitorizados y clasificados desde el primer momento en una categoría dentro de la escala Saffir-Simpson, el índice de referencia para estos fenómenos. Hay cinco categorías en función de la velocidad del viento, su intensidad y el potencial grado de destrucción.
- Categoría 1: vientos de hasta 153 kilómetros por hora y olas de 1,5 metros en las zonas costeras. Puede dañar mobiliario urbano, vegetación y generar induaciones, pero no suele generar daños en los edificios.
- Categoría 2: vientos de hasta 177 kilómetros por hora y olas de hasta 2,4 metros en zonas costeras. Provoca daños en tejados, puertas y ventanas de las viviendas, en el mobiliario urbano y puede provocar graves inundaciones.
- Categoría 3: vientos de hasta 209 kilómetros por hora y olas de hasta 3,7 metros en zonas costeras. Puede provocar daños estructurales en edificios, destruir pequeñas viviendas, generar inundaciones y afectar gravemente a las ciudades, así como arrastrar y volar objetos pesados
- Categoría 4: vientos de hasta 250 kilómetros por hora y olas de más de hasta 5,5 metros en zonas costeras. Devastador para estructuras de edificios y puede provocar desplomes de tejados. Graves inundaciones que pueden alcanzar el interior de los territorios costeros
- Categoría 5: vientos de hasta 400 kilómetros por hora y olas de más de 5,5 metros en zonas costeras. De efectos devastadores, puede derribar viviendas y destruir tejados de edificios, dañando gravemente sus estructuras. Pueden arrancar árboles e incluso mover vehículos. El ejemplo más famoso en los úlitmos tiempos es el del huracán Katrina de 2005.
Mostrar comentarios
Comentarios
20MINUTOS.ES – Ciencia
Más noticias
Captan una nebulosa con la forma de un «terrorífico» murciélago sobre el cielo de Chile: «Como si estuviera tratando de cazar»
Llega la superluna más grande y más brillante del año: cuándo y donde ver la ‘Luna del castor’
Llega la superluna más grande y más brillante del año: cuándo y donde ver la ‘Luna del castor’